定点工具
将浮点模型转换为定点模型
说明
定点工具使您能够自动转换浮点模型以使用定点数据类型,优化模型上的现有数据类型,并使用丰富的统计和可视化功能分析模型上的范围和数据类型。
定点工具提供了三种数据类型转换和分析工作流以满足您的需要:
优化的定点转换 - 自动转换您的模型以使用优化的定点数据类型。
迭代定点转换 - 自动建议定点数据类型,并手动选择要应用于模型的数据类型。
范围收集 - 在数据类型转换之前或之后探索模型的数值行为。
下表总结了这三种工作流之间的差异。这些选项会在下面更详细地解释。
| 工作流 | 更改模型数据类型 | 易用性 | 对应用于模型的数据类型的控制程度 | 需要系统行为容差知识 | 命令行工作流 |
|---|---|---|---|---|---|
| 优化的定点转换 | 是 | 一步 | 低 | 是 | fxpopt |
| 迭代定点转换 | 是 | 多次迭代 | 高 | 推荐 | DataTypeWorkflow.Converter |
| 范围收集 | 否 | 一步 | 不适用 | 推荐 | DataTypeWorkflow.Converter |
优化的定点转换工作流
定点工具中的优化的定点转换工作流提供一种将 Simulink® 模型转换为定点模型的全自动方法。如果您了解系统的期望行为并能针对此行为指定可接受的容差,您可以使用此工作流找到系统的最佳数据类型。如果您另外指定任何已知范围或提供额外的仿真输入,可以获得更好的结果。
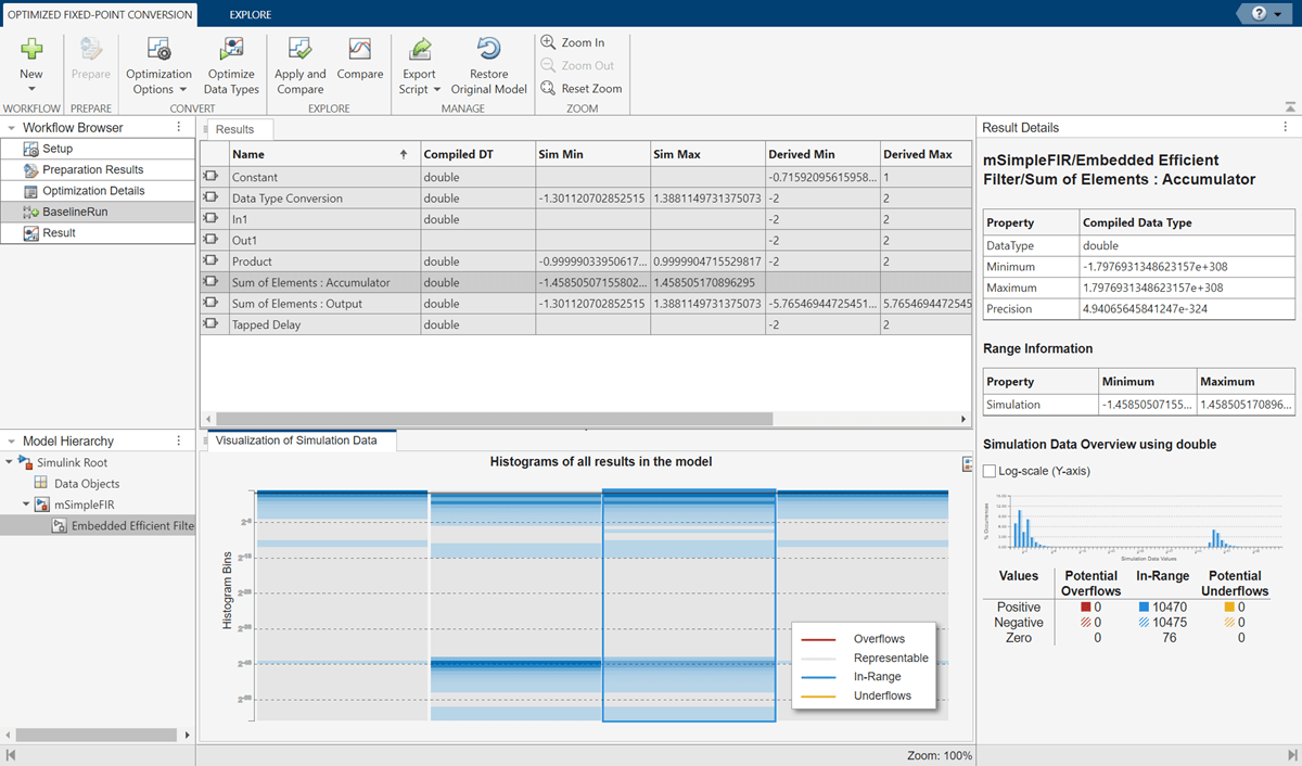
该工具允许您指定允许的字长,还会考虑您指定的目标硬件的限制。您也可以指定安全裕度,以按指定的量增大所收集范围的边界。优化后的数据类型保持在指定的行为容差内,并最小化设计成本。如果找到多个可行解,您可以对模型应用不同的解并对它们进行探索,以找到满足您需要的解。您可以使用丰富的可视化功能探索在基线模型中收集的范围和统计量,以快速发现溢出和其他数值问题的根源。您可以在仿真数据检查器中比较不同定点实现的结果。
在定点工具中优化数据类型后,您可以将工作流导出到 MATLAB® 脚本。这允许您使用 fxpopt 在命令行中继续进行数据类型优化,这种方式提供了可用于进一步自定义优化过程的其他高级选项。
此工作流将在优化过程完成时自动更改模型上的数据类型。如果您在开始优化之前完成准备步骤,您可以自动将模型还原到其原始状态。
迭代定点转换工作流
定点工具中的迭代定点转换工作流是一种在 Simulink 模型中指定定点数据类型的交互式自动方法。该工具收集模型对象的范围,然后建议能够最大化精度和覆盖范围的定点数据类型。然后,您可以检查数据类型建议,并有选择地将它们应用于模型中的对象。
该工具允许您建议字长或小数长度,让您可以选择固定精度设计,还会考虑您指定的目标硬件的限制。您也可以指定安全裕度,以按指定的量增大所收集范围的边界。丰富的可视化功能使您能够探索模型中对象的范围,并快速发现溢出和其他数值问题的根源,无论是在将模型转换为定点模型之前还是之后。如果建议的数据类型不能满足您的需要,您可以继续迭代此过程。您可以在仿真数据检查器中比较不同定点实现的结果。
此工作流让您能够完全控制将哪些建议的数据类型应用于您的模型(如果有)。如果您完成转换的准备步骤,您可以自动将模型还原到其原始状态。
此工作流不要求您指定系统的期望行为,但建议您指定任何已知范围、仿真输入和信号容差,以便获得更准确的数据类型建议,并能够评估建议的数据类型是否满足指定的设计需求。
范围收集工作流
定点工具中的范围收集工作流是一种分析和故障排除工具,它不会更改您的模型。通过此工作流,可以独立访问在数据类型转换工作流中的范围收集步骤。
您可以选择为模型中记录的信号指定额外的仿真输入和容差。该工具将单独收集所有指定仿真输入的范围,还会合并结果以在组合视图中查看。如果您要探索系统的理想浮点行为,可以选择在启用数据类型覆盖的情况下收集范围。
丰富的可视化功能使您能够探索模型中对象的范围,并快速发现上溢、下溢和其他数值问题的根源,无论是在转换为定点类型之前还是之后。不满足指定容差的信号在结果中会突出显示。您可以使用仿真数据检查器比较各次仿真运行的结果。
打开 定点工具
Simulink 工具条:在 App 选项卡上,点击代码生成 下此 App 的图标。
MATLAB 命令提示符:输入
fxptdlg('system_name'),其中'system_name'是您要转换的模型或系统的名称(指定为字符串)。
示例
相关示例
参数
限制
一些模块不支持定点数据类型,可能在定点转换期间导致错误。请参阅Blocks That Do Not Support Fixed-Point Data Types。
一些建模结构可能导致数据类型传播问题。请参阅Models That Might Cause Data Type Propagation Errors。
如果您的模型包含 MATLAB Function 模块,请仅使用支持的建模结构以实现成功转换。请参阅MATLAB Language Features Supported for Automated Fixed-Point Conversion。
提示
有关最佳做法和建议,请参阅Best Practices for Fixed-Point Conversion Workflow。
要自定义定点工具中的视图,请参阅Control Views in the Fixed-Point Tool。
有关优化工作流的故障排除帮助,请参阅Data Type Optimization Not Successful。
版本历史记录
在 R2006a 之前推出


























